Kahramanmaraş’ın Dulkadiroğlu ilçesi Yenişehir Mahallesi’nde yer alan, toplam 37.450 metrekarelik hisseli tarla icradan satışa çıkarıldı. 1/2 hissesi borçluya ait olan tarla, 56 milyon 175 bin TL muhammen bedelle açık artırmaya sunulacak. İmar planında piknik ve rekreasyon alanı olarak geçen taşınmaz için elektronik ihalenin ilki 29 Ocak 2026’da başlayacak.
DULKADİROĞLU YENİŞEHİR’DE 37 DÖNÜM TARLA SATIŞTA
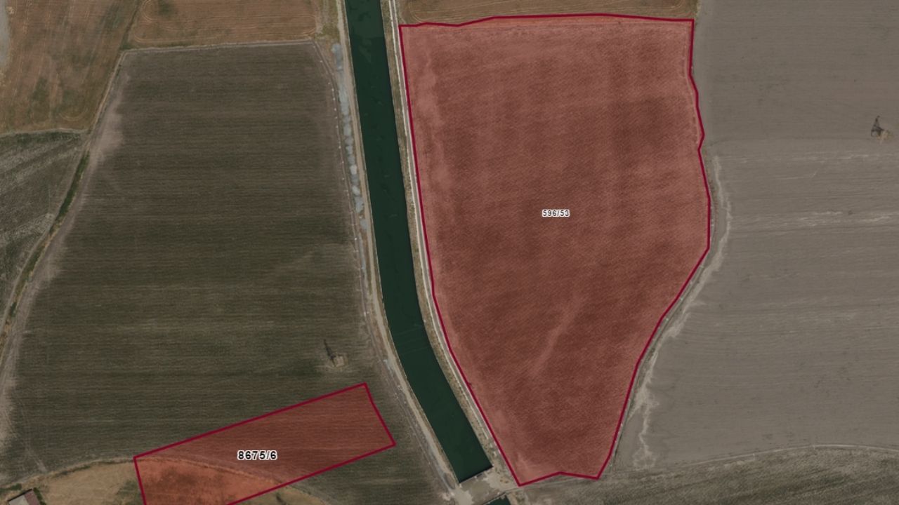
Kahramanmaraş İcra Dairesi’nin 2024/468 TLMT dosya numarasıyla yayınladığı ilana göre, Dulkadiroğlu ilçesi Yenişehir Mahallesi’nde bulunan 596 ada 53 parseldeki tarla, icra yoluyla satışa çıkarılıyor. Yüzölçümü 37.450,02 metrekare olan taşınmazın 1/2 hissesi borçluya, diğer yarısı başka bir borçluya ait. Üzerinde herhangi bir yapı bulunmayan tarlanın belediye hizmetlerinden faydalandığı tespit edildi.
İMAR DURUMU: PİKNİK VE REKREASYON ALANI OLARAK PLANLANDI
Dulkadiroğlu Belediyesi İmar ve Şehircilik Müdürlüğü’nden alınan bilgilere göre, söz konusu parsel 1/1000 ölçekli uygulama imar planında E=0.05, en fazla 2 kat yapılaşma şartıyla piknik ve rekreasyon alanı olarak geçiyor. Aynı zamanda taşınmazın bir kısmı yolda kalmaktadır. Bu durum, taşınmazın imar açısından tarımsal veya konut dışı rekreatif projelerde kullanılabileceği anlamına geliyor.
56 MİLYON TL MUHAMMEN BEDELLE SATIŞA SUNULACAK
Yapı bulunmadığı için yapı bedeli 0 TL olarak değerlendirilen tarla, sadece arsa değeri üzerinden kıymetlendirilmiş olup muhammen bedeli 56.175.030 TL olarak belirlendi. KDV oranı %10’dur. Taşınmazla ilgili tüm detaylara ve bilirkişi raporuna, esatis.uyap.gov.tr üzerinden 2024/468 TLMT dosya numarasıyla ulaşılabilir.
ELEKTRONİK AÇIK ARTIRMA TARİHLERİ NETLEŞTİ
Taşınmaz için düzenlenecek ilk açık artırma, 29 Ocak 2026 saat 14.00’te başlayacak ve 5 Şubat 2026 saat 14.00’te sona erecek. İkinci artırma ise 26 Şubat - 5 Mart 2026 tarihleri arasında aynı saat diliminde gerçekleştirilecek. Açık artırmalar sadece esatis.uyap.gov.tr adresinden elektronik ortamda yapılacak.
YATIRIM DÜŞÜNENLER İÇİN GÜÇLÜ LOKASYONDA FIRSAT
Yenişehir Mahallesi’nin gelişmekte olan bir bölgesinde yer alan bu büyüklükteki hisseli tarla, özellikle kamuya yönelik projeler, sosyal alan yatırımları veya uzun vadeli yatırım planları için dikkate değer bir fırsat sunuyor. Yüksek metrekareli ve imar planına dâhil olması, taşınmazın dikkat çekici yönleri arasında yer alıyor.
Not: Bu içerik yatırım tavsiyesi değildir. Taşınmaz alım-satım kararları, kişilerin kendi araştırmaları ve sorumlulukları çerçevesinde değerlendirilmelidir.
Muhabir: YASEMİN ÇOLAK



